売買 売地

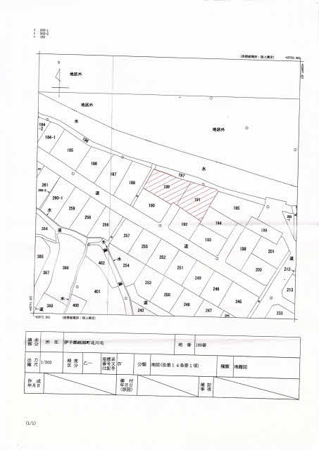
愛媛県伊予郡 砥部町北川毛 住宅用地

価格

1,000万円

坪単価 7.68万円
土地面積 公簿430.86㎡(約130.33坪)
最適用途 住宅用地
地目 (宅地)
建・容率 無・無
用途地域

物件詳細

物件種別

売土地

物件種目

売地

情報更新日

2026年04月20日

次回更新予定日

2026年05月18日

物件番号

6002866329

所在地

愛媛県伊予郡 砥部町北川毛 地図を見る

区画名

砥部売り土地

交通

千足停 徒歩3分

小学校

中学校

現況

建物有

引渡可能時期

相談

価格

1,000万円

坪単価

7.68万円

土地面積

公簿 430.86㎡ (約130.33坪)

私道面積

最適用途

住宅用地

土地権利

所有権

地目

(現況地目:宅地)

都市計画

区域外

用途地域

地域地区

建ぺい率・容積率

容積率の制限内容

地勢

平坦

総区画数

国土法

接道

【一方】 南 幅:6m 接面:4m

その他ランニングコスト

その他一時金

条件等

更地渡

性能評価

セットバック

法令上の制限

再建築

開発許可等番号

分譲

開発面積総面積

総販売面積

設備

プロパンガス、上水道、浄化槽

特記

備考

現在倉庫として賃貸中ですが間もなく退去します。建物が残っておりますので、ご購入者様で取り壊される場合はお値引き致します。

取引態様

売主

担当者

タタラ

※物件に関するお問合せは、物件詳細ページの「情報提供会社」に表示されている不動産会社へ直接お願いいたします。

※間取り図は、現況を優先させていただきます。

情報提供会社

どんぐり不動産

会社情報を見る

住所

高知県高知市中久万173番地3

TEL

088-871-2721

FAX

088-871-2721

免許番号

高知県知事免許(2)第2850号

所属団体

(公社)高知県宅地建物取引業協会
四国地区不動産公正取引協議会

loading