売買 売地

高知県高岡郡 佐川町東組 住宅用地

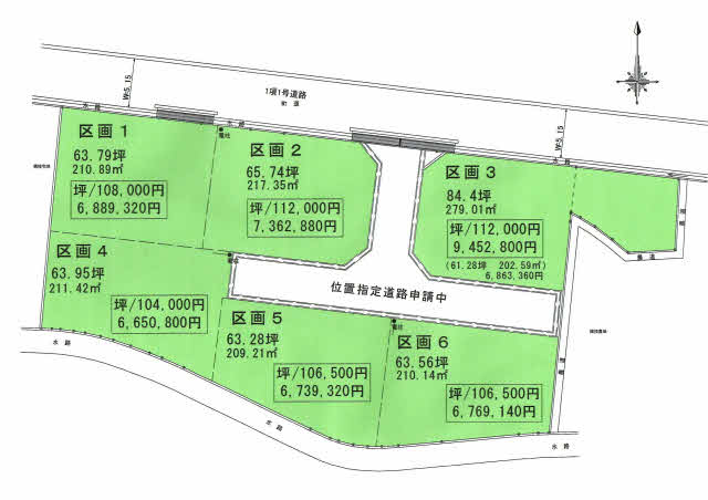
価格

688.9299万円

坪単価 10.8万円
土地面積 実測210.89㎡(約63.79坪)
最適用途 住宅用地
地目 (田)
建・容率 70%・200%
用途地域 無指定

物件詳細

物件種別

売土地

物件種目

売地

情報更新日

2026年04月20日

次回更新予定日

2026年05月18日

物件番号

6002766338

所在地

高知県高岡郡 佐川町東組 地図を見る

区画名

斗賀野小学校北分譲地

交通

土讃線斗賀野駅 徒歩7分  駅までmap

小学校

斗賀野小学校 210m

中学校

佐川中学校 3,700m

現況

更地

引渡可能時期

期日指定/2022年08月

価格

688.9299万円

坪単価

10.8万円

土地面積

実測 210.89㎡ (約63.79坪)

私道面積

最適用途

住宅用地

土地権利

所有権

地目

(現況地目:田)

都市計画

非線引区域

用途地域

無指定

地域地区

建ぺい率・容積率

70%・200%

容積率の制限内容

地勢

平坦

総区画数

国土法

接道

北 幅:5.1m 公道 接面:16.3m

その他ランニングコスト

その他一時金

条件等

建築条件有

性能評価

セットバック

法令上の制限

再建築

開発許可等番号

分譲

開発面積総面積

総販売面積

設備

プロパンガス、電気、上水道、浄化槽、側溝

特記

備考

色々な条件(建築条件付きなど)や記述内容で分からないことや、ご不安なことがあると思います。 ご遠慮なくお問い合わせください。出来るだけご不安や疑問が解消出来るよう 対応致しますので、よろしくお願いいたします。

取引態様

売主

担当者

門田 健

※物件に関するお問合せは、物件詳細ページの「情報提供会社」に表示されている不動産会社へ直接お願いいたします。

※間取り図は、現況を優先させていただきます。

周辺環境情報
小学校

斗賀野小学校 (210m)

中学校

佐川中学校 (3,700m)

情報提供会社

さかわソーラー株式会社

会社情報を見る

住所

高知県高岡郡 佐川町中組77

交通

土讃線斗賀野 徒歩4分

TEL

0889-20-9110

FAX

0889-22-1338

免許番号

高知県知事免許(1)第2937号

所属団体

(公社)高知県宅地建物取引業協会
四国地区不動産公正取引協議会

loading