売買 売地

徳島県小松島市小松島町字外開 住宅用地

価格

310万円

坪単価 8.14万円
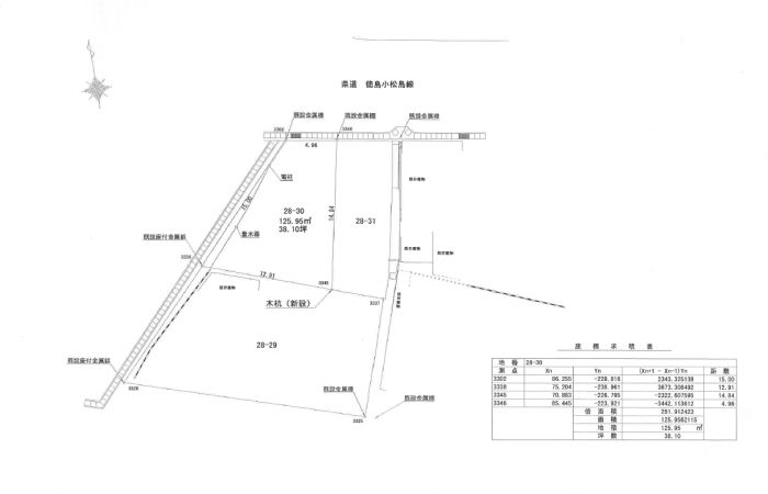
土地面積 公簿125.95㎡(約38.09坪)
最適用途 住宅用地
地目 宅地
建・容率 80%・400%
用途地域 商業地域

小松島市の二条通で売土地!土地約38坪!病院・スーパー徒歩圏内の好立地です!

物件詳細

物件種別

売土地

物件種目

売地

情報更新日

2026年03月17日

次回更新予定日

2026年05月26日

物件番号

6000377373

所在地

徳島県小松島市小松島町字外開

区画名

交通

牟岐線南小松島駅 徒歩10分

小学校

小松島 319m

中学校

小松島 1,400m

現況

更地

引渡可能時期

即時

価格

310万円

坪単価

8.14万円

土地面積

公簿 125.95㎡ (約38.09坪)

私道面積

最適用途

住宅用地

土地権利

所有権

地目

宅地

都市計画

市街化区域

用途地域

商業地域

地域地区

建ぺい率・容積率

80%・400%

容積率の制限内容

地勢

総区画数

国土法

国土法届出不要

接道

【二方(除角地)】 北 幅:9.9m 公道 接面:4.9m 舗装有/西 公道 接面:15m 舗装有

その他ランニングコスト

その他一時金

条件等

現況渡

性能評価

セットバック

法令上の制限

再建築

開発許可等番号

分譲

開発面積総面積

総販売面積

設備

側溝

特記

備考

取引態様

一般媒介

担当者

※物件に関するお問合せは、物件詳細ページの「情報提供会社」に表示されている不動産会社へ直接お願いいたします。

※間取り図は、現況を優先させていただきます。

情報提供会社

ベイ・サイド(有)

会社情報を見る

住所

徳島県小松島市金磯町9-10

交通

牟岐線阿波赤石 徒歩15分

TEL

0885-33-1333

FAX

0885-33-3688

免許番号

徳島県知事免許(3)第2890号

所属団体

(公社)徳島県宅地建物取引業協会
四国地区不動産公正取引協議会

loading