売買 売地

香川県高松市前田東町 事業用地

価格

6,100万円

坪単価 4.53万円
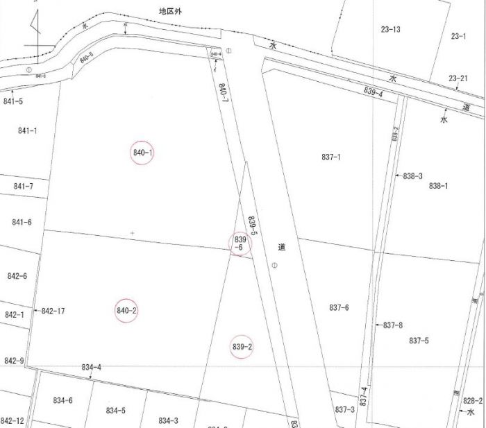
土地面積 公簿4,452㎡(約1,346.73坪)
最適用途 事業用地
地目
建・容率 60%・100%
用途地域 無指定

駅・インター近く事業に適した土地

物件詳細

物件種別

売土地

物件種目

売地

情報更新日

2026年02月28日

次回更新予定日

2026年05月19日

物件番号

5100259649

所在地

香川県高松市前田東町 地図を見る

区画名

交通

高松琴平電鉄長尾線西前田駅 徒歩12分 ことでんバス学校前停 徒歩3分  駅までmap

小学校

前田 100m

中学校

協和 3,020m

現況

更地

引渡可能時期

相談

価格

6,100万円

坪単価

4.53万円

土地面積

公簿 4,452㎡ (約1,346.73坪)

私道面積

最適用途

事業用地

土地権利

所有権

地目

都市計画

非線引区域

用途地域

無指定

地域地区

建ぺい率・容積率

60%・100%

容積率の制限内容

地勢

平坦

総区画数

国土法

国土法届出不要

接道

【一方】 東 幅:12m 公道 接面:94.1m 舗装有

その他ランニングコスト

その他一時金

条件等

現況渡

性能評価

セットバック

法令上の制限

再建築

開発許可等番号

分譲

開発面積総面積

総販売面積

設備

特記

備考

駅・インター近く事業に適した土地
駅・インターまで1km以内!
農振除外・農転及び開発許可申請が必要
幹線沿道Ⅱ型(60/200 高さ制限12m)と一般・環境保全型(60/100 高さ制限10m)の混在土地となります。

取引態様

専任媒介

担当者

入江 (電話)0875-83-6681

※物件に関するお問合せは、物件詳細ページの「情報提供会社」に表示されている不動産会社へ直接お願いいたします。

※間取り図は、現況を優先させていただきます。

情報提供会社

フジ開発(株)

会社情報を見る

住所

香川県三豊市詫間町 松崎2780-509

TEL

0875-83-6681

FAX

0875-83-6637

免許番号

香川県知事免許(7)第003455号

所属団体

(公社)香川県宅地建物取引業協会
四国地区不動産公正取引協議会

loading